€ 525.000,- k.k.
Klaar om verliefd te worden op een stukje geschiedenis? Aan de rand van het pittoreske De Rijp staat dit monumentale vrijstaande pand op Oosteinde 50. Een woning met een verhaal dat teruggaat tot het jaar 1700 – en dat voel je zodra je binnenstapt. Hier woon je niet alleen, hier ervaar je een stukje erfgoed. Vrij uitzicht aan de achterzijde, water voor de deur én ruimte voor eigen woonideeën: dit huis heeft het allemaal.
De ligging mag er zijn: aan (vaar)water, met directe verbinding naar de uitgestrekte vaarroutes. Perfect voor de echte watersportliefhebber, of voor wie graag de rust van kabbelend water en weids polderzicht omarmt. Vanuit de diepe achtertuin kijk je uit over de landerijen en de Westdijk – een decor dat elk seizoen een eigen schilderij vormt.
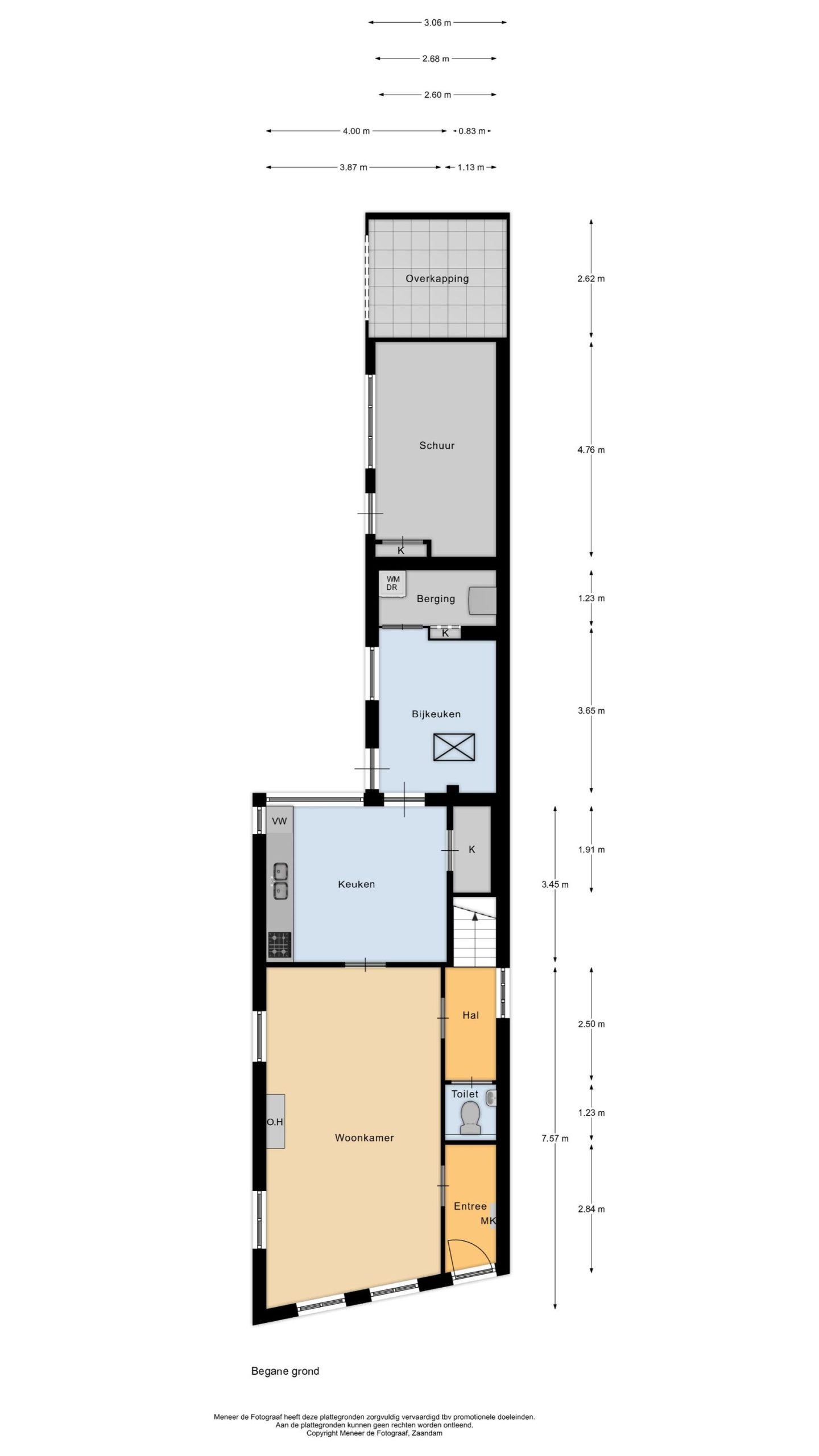
Binnenstappen is teruggaan in de tijd. De woonkamer bevindt zich aan de voorzijde en ademt sfeer met de ouderwetse open haard en de zichtbare balken in het plafond. Ramen rondom zorgen voor een overvloed aan daglicht en een knusse ambiance. Via een charmant afstapje bereik je de ruime eetkeuken aan de achterzijde van de woning. Achter de keuken vind je de praktische bijkeuken met berging én toegang tot de zolder via een vlizotrap.
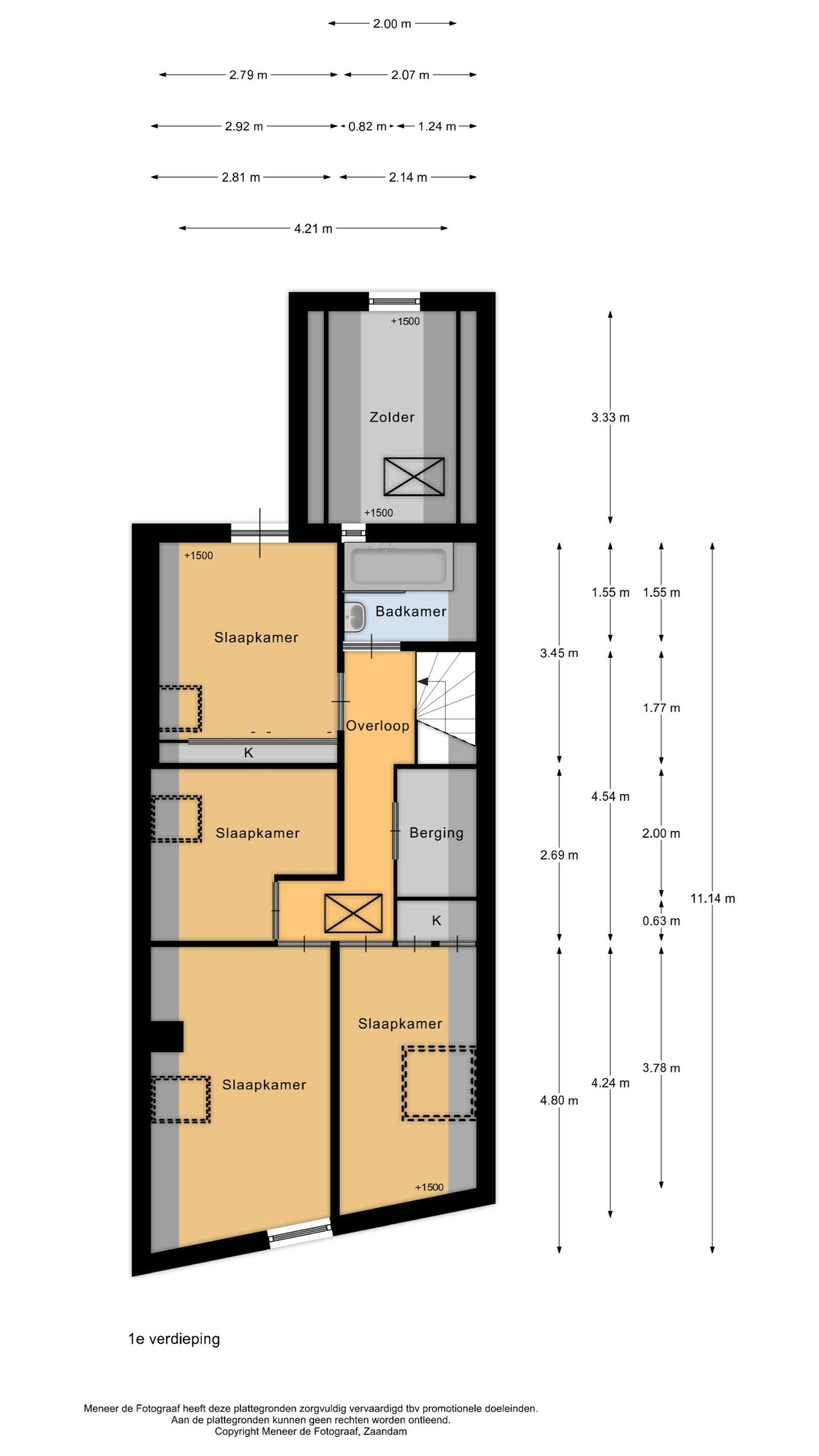
De eerste verdieping is bereikbaar via een separate hal aan de zijkant van de woning, waar ook het toilet zich bevindt. Boven tref je vier slaapkamers, elk voorzien van een dakraam voor natuurlijk licht. De badkamer biedt een wastafel en een ligbad met douche, waar een klapraam zorgt voor frisse lucht. Op de overloop geeft een vlizotrap toegang tot een tweede zolderverdieping, waar zich de Cv-ketel en extra bergruimte bevinden.
Monumentaal wonen betekent karakter en keuze. Dit huis is een reis terug in de tijd – iets om te koesteren voor de liefhebber van historie, maar ook een fantastische basis voor wie droomt van een update naar de woonstandaarden van 2025. Wat blijft, is de unieke ligging, het water, de ruimte en de monumentale charme die je nergens anders vindt.
Wonen in De Rijp betekent genieten van het landelijke leven zonder afstand te doen van stedelijke voorzieningen. Binnen 30 minuten ben je met de bus in Amsterdam en in zo’n 25 minuten bereik je Alkmaar. Met de auto ben je net zo snel. Hoorn bereik je daarentegen binnen 25 autominuten en Purmerend binnen 15 minuten rijden. Tegelijkertijd vind je in het dorp zelf alles wat je nodig hebt: er zijn meerdere basisscholen voor de kinderen, een paar supermarkten voor de dagelijkse boodschappen en diverse sportverenigingen voor jong en oud. Van voetbal en tennis tot kanoën of wielrennen – er is altijd een manier om actief bezig te zijn. Ook culturele activiteiten en evenementen ontbreken niet; Koningsdag, braderieën, een boekenmarkt en het Tuingr8 StraatTheaterFestival zorgen voor een levendige dorpssfeer. Zelfs een bibliotheek is binnen handbereik voor wie van lezen en cultuur houdt.
Kortom: Oosteinde 50 is geen standaard woning, het is een belevenis. Of je nu valt voor de romantiek van het monumentale karakter, de vrijheid van het vaarwater of de charme van De Rijp zelf – hier vind je het allemaal.
Onze makelaars laten je dit bijzondere pand graag zelf ervaren. Voor meer informatie en een goede indruk van de woning en de omgeving kijk je onze bezichtigingsvideo. Voor alle ins&outs kun je de brochure downloaden, hier tref je ook de lijst van roerende zaken en de vragenlijst van de woning. Tot snel!
PS. Ons nieuwe aanbod als eerste zien? Volg ons dan op social media, dan zit je pas eersterangs in de markt! Ons werkgebied beslaat een groot gebied in Noord-Holland. Benieuwd wat jouw huidige woning waard is? Onze makelaars komen graag bij je langs voor een vrijblijvend verkoopgesprek met gratis waardebepaling!
- 114 m2
- 289 m2
- 4
Kenmerken Oosteinde 50
Overdracht
| Vraagprijs | € 525.000,- k.k. | 
|---|---|
| Aanvaarding | In overleg | 
Oppervlaktes en inhoud
| Perceel oppervlakte | 289 m2 | 
|---|---|
| Woonoppervlakte | 114 m2 | 
| Inhoud | 516 m3 | 
Bouw
| Soort | Eengezinswoning | 
|---|---|
| Bouwvorm | Bestaande bouw | 
| Bouwjaar | 1700 | 
| Dak type | Zadeldak | 
| Isolatievormen | Dakisolatie, Muurisolatie | 
Indeling
| Aantal verdiepingen | 3 | 
|---|---|
| Aantal kamers | 5 | 
| Aantal slaapkamers | 4 | 
| Aantal badkamers | 1 | 
Maandlasten
Ligging Oosteinde 50
Voorzieningen
- De Balein (Basisschool De Balein) 898 m Jan Ploegerlaan 1A DE RIJP
- Amsterdamse Hogeschool voor de Kunsten 21 km Jodenbreestraat 3 AMSTERDAM
- Regio College 9 km Spinnekop 2 PURMEREND
- Amsterdamse Hogeschool voor de Kunsten 21 km Jodenbreestraat 3 AMSTERDAM
- Universiteit van Amsterdam 21 km Spui 21 AMSTERDAM
 
                             
                             
                             
                             
                             
                             
                             
                             
                             
                             
                             
                             
                             
                             
                             
                             
                             
                             
                             
                             
                             
                             
                             
                             
                             
                             
                             
                             
                             
                             
                             
                             
                             
                             
                             
                             
                             
                             
                             
                             
                             
                             
                             
                             
                             
                             
                             
                             
                             
                             
                             
                             
                             
                             
                             
                             
                             
                             
                             
                             
                             
                             
                             
                             
                             
                                 
                                 
                                 
                                 
                                 
                                 
                                 
                                 
                                 
                                 
                                 
                                 
                                 
                                 
                                 
                                 
                                 
                                 
                                 
                                 
                                 
                                 
                                 
                                 
                                 
                                 
                                 
                                 
                                 
                                 
                                 
                                 
                                 
                                 
                                 
                                 
                                 
                                 
                                 
                                 
                                 
                                 
                                 
                                 
                                 
                                 
                                 
                                 
                                 
                                 
                                 
                                 
                                 
                                 
                                 
                                 
                                 
                                 
                                 
                                 
                                 
                                 
                                 
                                 
                                 
                                 
                                 
                                 
                                 
                                 
                                 
                                     
                                     
                                     
                                     
                                     
                                     
                                                             
                             
                             
                             
                             
             
             
             
             
            